Animaux
>
Insectes
>
Hemiptères
>
Heteroptères
>
Coreidées
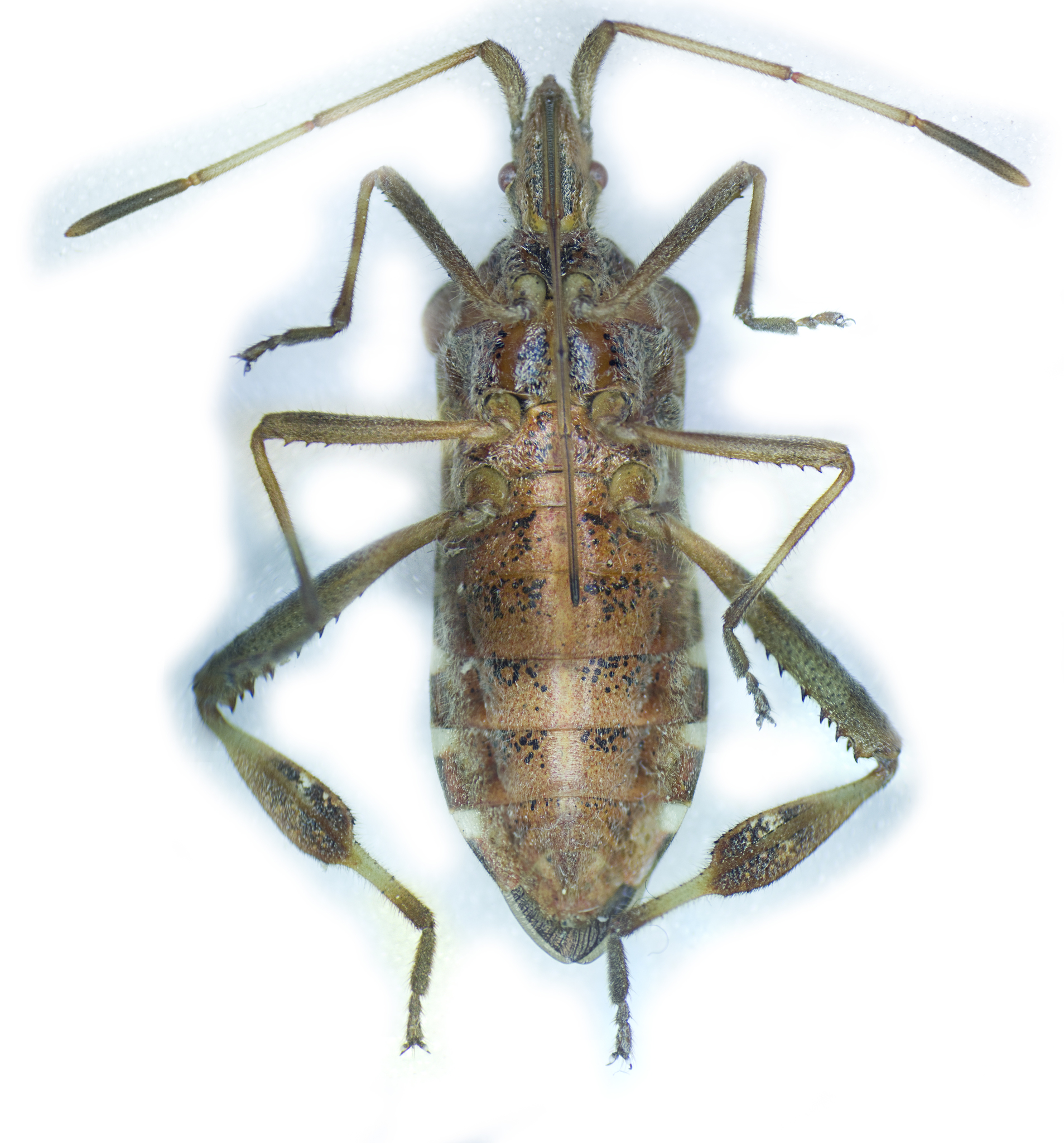
Nom latin : Leptoglossus occidentalis
Famille : Coreidées
Nom(s)Punaise américaine

Punaise des pins
Photos
Copyright ? 

- © Giancarlodessi
- © Léo-Guy de Repentigny
- © Chris Moody
- © Mehmet Akif Suna
- © Holleday
- © Holleday
- © {{ComputerHotline/about
- © Didier Descouens
- © Didier Descouens
- © Didier Descouens
- © Siga
- © Siga
- © Wululululu
- © stanze
- © Carlos Eduardo Joos
- © Tim Worfolk
- © Tim Worfolk
- © Laura Camp
- © gbohne
- © Robbin D. Knapp
- © pverdonk
- © pverdonk
- © pverdonk
- © Lili Taylor
- © xc90
- © xc90
- © Steve Mayo
- © roaminwiththeromes
- © legolas1
- © beachjoel
- © Wildlife in a Dorset garden.
- © SilverBack82
- © Léo-Guy de Repentigny
Liens Ressources
- Wikipediaencyclopédie
- iNaturalistObservations
- GBIFinventaire de biodiversité
- QwantMoteur de rechercheEcosiaMoteur de rechercheAller en hautINPNInventaire National du Patrimoine NaturelWikiMediaPhotos / VideosWikispeciesencyclopédieINPN Rhone-AlpesBiodiversitéFlickRPhotosOpenversePhotosObservations autour du lieuChargement des observations...Bibliographie

- Fiche Wikipedia de l'espèce : https://fr.wikipedia.org/wiki/Leptoglossus_occidentalis
- Fiche WikiSpecies : https://species.wikimedia.org/wiki/Leptoglossus_occidentalis
- Photos et illustration : Toutes les photos sont sous license Créative Commons. Les crédits (auteur / type de license / année / url source) sont indiqués sur chaque image dans cette page.
Les photos sont issues des plateformes : Wikimedia.org / Flickr.com / inaturalist.org / gbif.org / bioportal.naturalis.nl - Les données taxonomiques relatives à l'espèce ainsi que les données scientifiques associées sont issues de la compilation de différentes sources : Tela-Botanica / Inpn / Gbif / PlanteNet / Trefle.io / ThePlantList.org
- Référentiel des trachéophytes de France métropolitaine et régions avoisinantes, Benoît Bock & al., version 8.00 du « 26 octobre 2021 ».
- Données personnelles - B. Oddos Giamarchi (BOG), 2000- 2024, Parlons Plantes : Sorties Botaniques en Ardèche
















